El huracán fue calificado como el más fuerte en la historia de México por lo que fueron evacuados los pobladores, cerraron puertos y exigieron a los turistas cancelar sus viajes.
El poderoso huracán Patricia de categoría 5 se acerca este viernes a la costa del Pacífico mexicano, donde las autoridades evacuaron a los pobladores, cerraron puertos y exigieron a los turistas cancelar sus viajes por temor a una catástrofe.
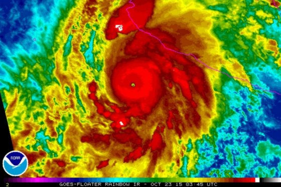
El Centro Nacional de Huracanes estadounidense (NHC) lo calificó como el huracán más fuerte de que se tiene registro en el noreste del Pacífico.
Y agregó que el fenómeno tocará tierra con un efecto potencialmente catastrófico la tarde de este viernes en el sudoeste de México.
Patricia alcanzó en la noche del jueves el nivel más alto de 5 grados en la categoría de Saffir Simpson con vientos sostenidos de 325 kilómetros por hora.
«Algunas fluctuaciones en la intensidad son posibles hoy pero se prevé que Patricia se mantenga en laextremadamente peligrosa categoría 5 hasta tocar tierra», dijo el centro en un boletín actualizado a las 12H00 GMT.
«Un oleaje sumamente peligroso producirá inundaciones significativas en las costas y a la derecha de donde el ojo del huracán toque tierra», explicó el centro, con sede en Miami.
Las previsiones muestran que Patricia tocará tierra en el estado occidental de Jalisco, cerca del vecino estado de Colima.
La región incluye el mayor puerto de Manzanillo en Colima y el turístico puerto de Puerto Vallarta, que serán golpeados directamente, según las autoridades mexicanas.
En Manzanillo, en el estado de Colima, empezó a llover en la noche y algunos negocios taparon sus ventanas con láminas de madera.
«Más vale prevenir que lamentar, los huracanes son impredecibles», dijo Enrique Esparza, gerente de la mueblería El Gran Mueble, cuyo negocio está a 200 metros del mar.
Pero los negocios vecinos no se habían protegido más que poniendo alguna que otra cinta adhesiva en los cristales, tal vez «por falta de cultura» en prevención de desastres naturales, dijo Esparza.
Rosa Elba Figueroa, un ama de casa, salía de un supermercado con víveres en anticipación al huracán, incluyendo atún, leche en polvo, pan, agua y pilas.
«Sí nos sentimos preocupados (…) y aunque no pegue directamente aquí traerá mucha lluvia y mucho viento», dijo Figueroa.
«Ahorita vamos corriendo a la casa a poner madera y cintas en la ventana», concluyó.
En algunas comunidades más vulnerables empezaron las evacuaciones.
En la pequeña comunidad playera de Boca de Pascuales,unas 70 personas fueron trasladas por las autoridades a un albergue mientras que otras 30 se fueron a casas de familiares.
José María Tapia Franco, director del Fondo Nacional de Desastres, dijo que la población vulnerable es de unos 400.000 habitantes pero que las evacuaciones se realizarán de acuerdo a las valoraciones que hagan las autoridades.
Clases suspendidas, puertos cerrados
En Jalisco, las autoridades fueron a comunidades costeras para alertar «a la población más vulnerable para que se ponga a salvo», dijo el director de Protección Civil del estado, José Trinidad López Rivas, a Foro TV.
Las clases fueron suspendidas para los alumnos de todos los niveles en los estados de Jalisco, Colima y en algunos municipios de Guerrero y Nayarit.
También anunciaron el cierre de la navegación mayor en Acapulco y de la navegación menor en varios puertos de los estados de Jalisco, Nayarit, Michoacán, Guerrero y Oaxaca.
Se prevé que Patricia produzca 51 centímetros de lluvias en los estados de Nayarit, Jalisco, Colima, Michoacán y Guerrero, que podrían generar inundaciones súbitas y deslizamientos que amenazan la vida, dijo el NHC.
La fuerza del viento preocupa
En la zona hay «1.782 refugios con capacidad para 259.000 personas que se activarán en caso de ser necesario», informó en rueda de prensa Luis Felipe Puente, coordinador nacional de Protección Civil.
«La cantidad de agua y el poder del viento nos preocupan», agregó.
Jalisco, Michoacán, Colima y Nayarit recibirán el equivalente al 40% de las precipitaciones anuales en las próximas 48 horas, sostuvo por su parte el director de la Comisión del Agua, Roberto Ramírez de la Parra, Roberto Ramírez de la Parra.
Y comentó de su lado que dos represas en Jalisco y Michoacán están siendo desagotadas por las lluvias que provocará Patricia.
Por su ubicación geográfica, México es susceptible de ser golpeado entre mayo y noviembre por huracanes tanto en su costa del Pacífico como en la del Atlántico.
En 2013, mientras el huracán Manuel golpeaba por el Pacífico, la zona del Atlántico era azotada por el ciclón Ingrid, dejando ambos fenómenos 157 muertos y al menos 1,7 millones de damnificados.



Debe estar conectado para enviar un comentario.